The Daily Insight

Connected.Informed.Engaged.

news

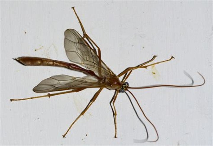
Is ichneumon wasp dangerous?

Writer Mia Kelly

Although ichneumonid wasps appear dangerous due to their large size, they are not harmful to people. The wasp may jab with its ovipositor in self-defense. This will generally result only in a minor wound. Ignore these wasps, if you see them.

Do ichneumon wasps sting humans?

(Males are smaller, lack the ovipositor, and have a blunt tip of the abdomen.) Despite its rather fearsome appearance, the giant ichneumon wasp is harmless to humans and can not sting. ... During egg laying (oviposition) the host larva is paralyzed with a sting after which the egg is laid.

Are ichneumon wasps venomous?

And while most ichneumon species do not sting, some do, although they do not inject venom like a bee or wasp does. One of the largest species of these insects is the giant ichneumon wasp, which can have a body up to 2 inches long, Wisconsin Public Radio reports.

Can giant ichneumon wasp bite?

Giant ichneumon wasps — spindly, brown creepy crawlers, the stuff of children's nightmares — may look scary at first glance, but they won't sting people.

Are ichneumon wasps dangerous to dogs?

No, black giant ichneumon wasps do not sting. They have no interest in interacting with humans so they do not post a threat to humans or pets.

Stung by parasitic wasp, parasitoids, Ichneumon wasp sting test...

33 related questions found

Are paper wasps dangerous?

While paper wasps can be dangerous and aggressive, they generally do not attack unless they or their nests are bothered. ... Wasps can sting repeatedly; causing pain, swelling and whole-body effects that can trigger allergic reactions that may result in death.

How big is a giant ichneumon wasp?

We're talking about giant ichneumon wasps – a genus of only four species in North America. Females range from 3-4 inches in length, including what appears to be a long, massive stinger. While intimidating looking, they're harmless. This stinger is actually an ovipositor, used for laying eggs.

Do cicada killers sting people?

Despite their large size and bright yellow and brown coloring, cicada killers are harmless to humans—they're “gentle giants of the wasp world,” Schmidt says. Male cicada killers don't sting, and, unlike Asian giant hornets, female cicada killers avoid people and rarely deploy their stingers.

What happens if a parasitic wasp stings you?

The typical human sting reactions include headache, giddiness, nausea, pain at the sting sites, shortness of breath, and anaphylactic responses. The parasitoid wasp, C. gallicola, has a diminutive stinger and stings if it is irritated.

What does an ichneumon wasp eat?

Adult ichneumon drink nectar from flowers if they eat at all. The larvae are the true consumers. All ichneumon wasps are parasites who deposit their eggs on or near the young of other insects and spiders. Once the eggs hatch, they feed on the unsuspecting host larvae until reaching the dormant pupate stage.

Are ichneumon wasps beneficial?

Most people consider ichneumons beneficial, as they play a huge role in controlling insects, including many considered pests or injurious (such as tomato hornworms, boll weevils, and wood borers).

Where does the ichneumon wasp come from?

Giant Ichneumons tend to live in wooded areas and throughout all of North America, though they do stay away from the arid and hot desert regions and scarcely treed central plains. Ichneumon adults do not eat at all. Larvae are parasites of Pigeon Horntail larvae, another type of wasp that deposits eggs in wood.

Do short tailed ichneumon wasps sting?

In fact, this species can deliver a "sting" because the short, sturdy structure is not retractible and can be pushed into flesh by an irritated insect. It does not inject venom like a wasp or bee, though. At about an inch long, the short-tailed ichneumons can also bite, so they are best not handled.

Can Sabre wasps sting?

The Sabre Wasp is a type of insect called an Ichneumon Fly. ... The apparently fearsome-looking sting at the end of the female wasp's abdomen in the picture above, is actually an ovipositor, rather than a sting. These insects are harmless to humans. The adults feed on nectar from flowers and aphid honeydew.

What is a wasp predator?

A wide variety of creatures eat wasps, from insects and invertebrates like dragonflies, praying mantis, spiders, centipedes to birds such as mockingbirds, sparrows, nighthawks and starlings, reptiles and amphibians like lizards and geckos, and mammals such as mice, weasels, badgers, and black bears.

Are paper wasps parasitic?

In common with other social insects, paper wasps can be infected by a variety of parasites, as their offspring have easy access to other colony members. Strepsipterans are one such group of parasites.

What do parasitic wasps look like?

Identification: Parasitic wasps are generally small (an inch or less long, and most are less than 1/4 inch long) slender, hairless flying insects with 2 pairs of clear to smoky membranous wings and long antennae. Many are black or brown, but some have intricate color patterns.

How do I know if I have parasitic wasps?

When it comes to parasitic wasp identification, things get complicated. However, like other wasps, parasitic wasps have the appearance of a “waist,” which is actually the constriction between the insect's abdomen and thorax. Most adults have two sets of wings, although some may be wingless in the adult stage.

Are cicadas harmful?

While they may creep some people out, cicadas are not dangerous. They don't chew through crops, they are not poisonous, they don't sting or bite and they are not known to carry disease, according to the University of Connecticut.

Can a cicada killer hurt you?

Are cicada killers dangerous? Females have significant stingers which they plunge into cicadas to inject venom that paralyzes them. Without doubt, their stings are painful. However, they are not aggressive and do not have nest-guarding instinct of honey bees and hornets.

Is it safe to eat cicadas?

Any kind of cicada is safe to eat, but experts suggest gathering tenerals — cicadas that that have just molted — before their exoskeletons turn hard and darken in color. “That's when they're best because they're still tender, and they're not going to be too hard,” Czerwony says.

What is a hornet look like?

Hornets tend to have reddish-brown heads and thoraxes, with abdomens that are golden in color with dark brown stripes. The majority of wasp species are not social. Hornets are social insects.